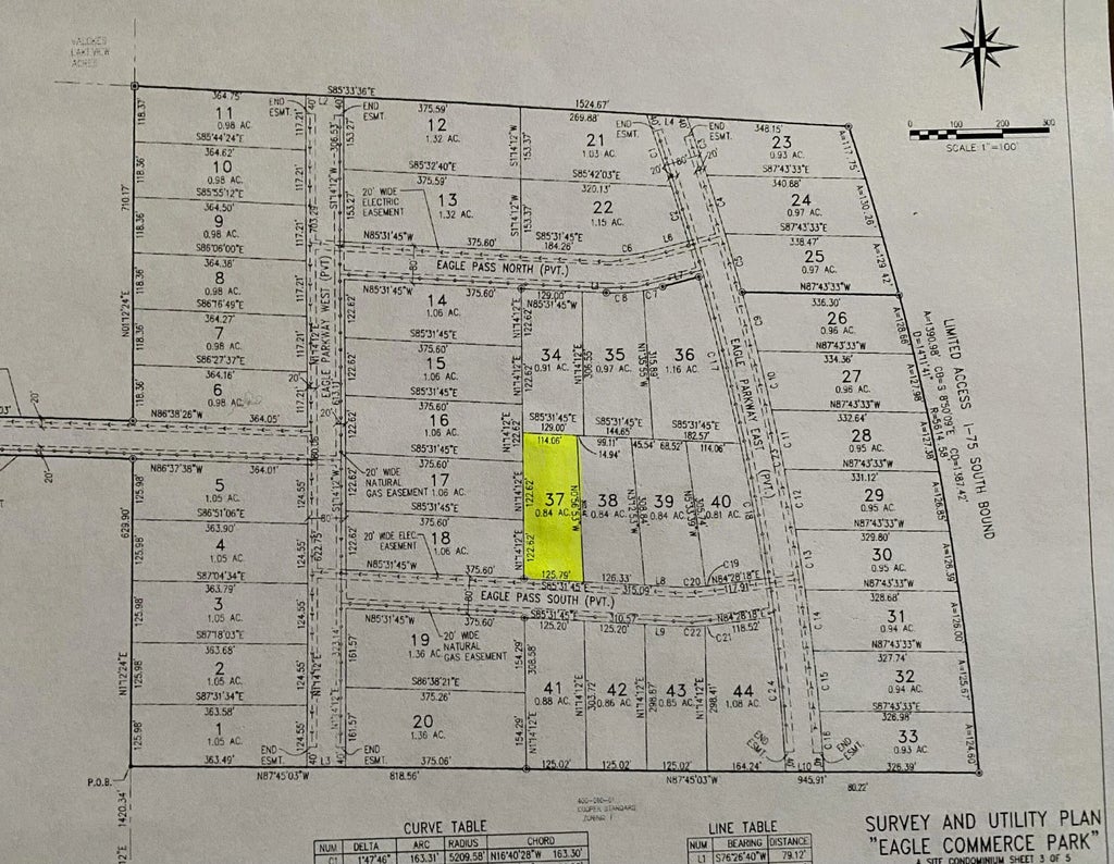
Lot 37 S Eagle Pass, Gaylord, MI

$59,000

Previous Next

About Lot 37 S Eagle Pass

Capitalize on location and expand or start your business in Gaylord's newest B-3 zoned Industrial Park. Locally owned and developed, Eagle Commerce Park features multiple lots with natural gas, Class-A roads, and 3-phase electrical service all just 1 mile from I-75 access.Lot 37 is .84 acres and developer is offering build to suit options.

Features of Lot 37 S Eagle Pass

MLS® # 201833124
Price $59,000
Type Commercial
Sub-Type Commercial/Vacant
Status Active

Community Information

Address Lot 37 S Eagle Pass
Subdivision T30N R3W
City Gaylord
County Otsego
State MI
Zip Code 49735

Amenities

Is Waterfront No
Has Pool No

Interior

Has Basement Yes
Fireplace No

Exterior

Lot Description 126x307

Additional Information

Date Listed January 17th, 2025
Zoning B-3
HOA Fees Freq. Annually

Listing Details

AgentRyan Wojan
Officesmith realty GROUP

Listing Map

Request a Showing

Provide a valid email address.
When would you like to view this property?